Συμβαίνουν και αυτά στις εκτάσεις του Δήμου Εορδαίας.
Κατασκευάζονται δρόμοι χωρίς να τηρούνται οι νόμιμες διαδικασίες, σχετικά με την χάραξη, τον έλεγχο του ιδιοκτησιακού και την κήρυξη απαιτούμενων απαλλοτριώσεων.
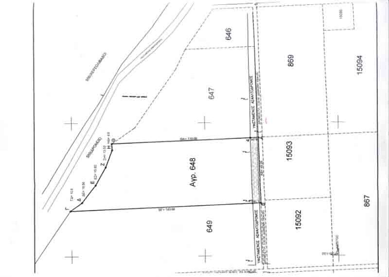
Στην περιοχή του Μποδοσάκειου, αναφερόμαστε και συγκεκριμένα στον ασφαλτοστρωμένο δρόμο προς τον Ιερό Ναό Κοιμήσεως Θεοτόκου, που έγινε πρόσφατα. Και καλώς έγινε.
Όμως αυθαίρετα και χωρίς κάποια ειδοποίηση προς τους παρόδιους ιδιοκτήτες αγροτεμαχίων, έγινε καταπάτηση και μάλιστα μεγάλη στις ιδιοκτησίες τους.
Αν καταπατούσαν ιδιώτες, Δημοτικές ή Κρατικές εκτάσεις θα πήγαιναν φυλακή. Τώρα τί επίπτωση υπάρχει για τους καταπατητές που είναι ο Δήμος ή η Νομαρχία.
Στη συγκεκριμένη περίπτωση κατασκευής του δρόμου, δεν αρκέσθηκαν στη χρήση αυτή αλλά επεκτάθηκαν, δενδροφυτεύοντας και άλλα κομμάτια, με αποτέλεσμα οι ζημίες για τους παρόδιους να είναι ακόμη μεγαλύτερες.
Η καταπάτηση, που στην ουσία είναι δήμευση ξένης περιουσίας, αφορά όλες τις ιδιοκτησίες δεξιά του δρόμου.
Ενδεικτικά αναφέρουμε ότι από τα αγροτεμάχια με αριθμούς 649, 648, 647, 646 και πάει λέγοντας, έχουν καταπατηθεί από 300 έως 400 τμ.
Είναι επιβεβλημένο, τουλάχιστον να αποζημιωθούν οι θιγόμενοι , με ανάλογη έκταση ίσης αξίας ή να ορισθεί τιμή μονάδας όπως γίνεται στις αναγκαστικές απαλλοτριώσεις.
Παράλληλα θα πρέπει να αναζητηθούν ευθύνες για τις παράνομες και αυθαίρετες πράξεις.
Καλά τα έργα. Χρήσιμοι οι δρόμοι, αλλά όλα πρέπει να γίνονται μέσα στα όρια της νομιμότητας. «Ο σκοπός δεν αγιάζει πάντοτε τα μέσα».


































